Theo Phương Anh/VTCNews (Nguồn ảnh: Bloomberg)
Siêu bão mạnh nhất từ năm 1950 tấn công nước Mỹ
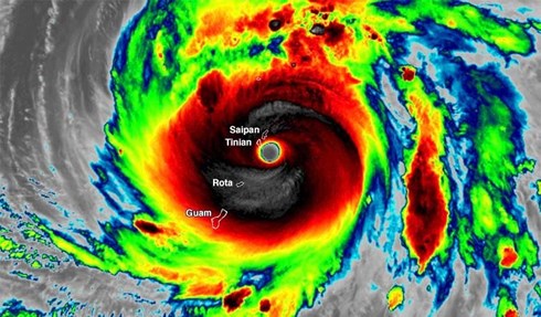
Siêu bão Yutu ngày 25/10 đổ bộ quần đảo Mariana phía Tây Thái Bình Dương với sức gió 286km/h, trở thành cơn bão mạnh nhất tấn công nước Mỹ từ năm 1950.
Mắt bão sẽ trực tiếp đi qua đảo Tinian, trong khi phần rìa ngoài đi qua Saipan. Với tốc độ gió ở tâm bão lên tới 286km/h, Yutu sẽ trở thành cơn bão mạnh nhất kể từ năm 1950 tấn công nước Mỹ.
![]() |
Cơn bão có nguy cơ gây thiệt hại lớn. Quần đảo Mariana, nơi có khoảng 50.000 người sinh sống chưa bị cơn bão cấp 5 nào tấn công kể từ năm 1950.
Theo Bloomberg, đã có 7 siêu bão đã hình thành ở phía Tây Thái Bình Dương trong năm 2018. Yutu có thể là cơn bão mạnh nhất, bên cạnh siêu bão Mangkhut đã khiến nhiều người thiệt mạng tại Philippines trước khi tấn công Hong Kong (Trung Quốc) hồi tháng 9.
Hướng di chuyển của Yutu tiếp theo vẫn khó lường. Theo dự đoán, bão có thể hướng đến Đài Loan (Trung Quốc) hoặc rẽ sang hướng khác. Cơn bão cũng có thể suy yếu khi gặp các hiện tượng thời tiết khác.
Bài viết cùng chuyên mục
Đọc thêm
Nhật Bản tập trận bắn đạn thật quy mô lớn
Lực lượng Phòng vệ Mặt đất Nhật Bản đã vừa tổ chức cuộc tập trận bắn đạn thật thường niên dưới chân núi Phú Sĩ.
Nền kinh tế Trung Quốc vẫn đứng trước áp lực giảm phát
Theo số liệu mà Tổng cục Thống kê quốc gia Trung Quốc (NBS) công bố sáng 9/6, Chỉ số giá tiêu dùng (CPI) và chỉ số giá sản xuất (PPI) của Trung Quốc trong tháng 5 vừa qua tiếp tục giảm phản ánh sự suy yếu đồng thời của nhu cầu tiêu dùng và sản xuất trong nước, đồng thời cho thấy nền kinh tế Trung Quốc vẫn đứng trước áp lực giảm phát trong thời gian tới.
Hàn Quốc: Tỷ lệ ủng hộ tân Tổng thống và đảng cầm quyền tiếp tục tăng
Ngày 9/6 theo khảo sát của Realmeter thực hiện Đa số người Hàn Quốc tin tưởng rằng tân Tổng thống Lee Jae Myung, người được bầu để tiếp quản quyền lãnh đạo đất nước sau khi ông Yoon Suk Yeol bị phế truất, sẽ làm tốt các công việc của quốc gia.
Tổng thống Zelensky: Mỹ không chuyển 20.000 tên lửa chống UAV cho Ukraine như đã hứa
Trong bối cảnh Chiến sự Nga - Ukraine những ngày qua leo thang nghiêm trọng với các đòn không kích quy mô lớn bằng máy bay không người lái (UAV) và tên lửa, Tổng thống Ukraine Volodymyr Zelensky ngày 8/6 xác nhận rằng, chính quyền của Tổng thống Mỹ Donald Trump đã chuyển 20.000 tên lửa chống chống thiết bị bay không người lái UAV cho lực lượng Mỹ ở Trung Đông, thay vì viện trợ Ukraine như đã hứa.
Iran cảnh báo cắt giảm hợp tác nếu IAEA thông qua nghị quyết chống Tehran
Ngày 8/6, Giới chức Iran cảnh báo nước này sẽ giảm hợp tác với Cơ quan Năng lượng Nguyên tử Quốc tế (IAEA), nếu tổ chức này thông qua nghị quyết chống lại Iran.
Tổng thống Mỹ: Thực hiện mọi hành động cần thiết để ‘giải phóng” Los Angeles
Tình hình căng thẳng tại Los Angeles chưa có dấu hiệu dừng lại khi ngày 8/6, Tổng thống Doanld Trump thông báo ông đã chỉ đạo, huy động nhiều bộ ngành liên quan của Mỹ trong việc giải quyết tình trạng mà ông gọi là “bị xâm lược và chiếm đóng” tại Los Angeles.
Trung Quốc lắp đặt giàn dầu khí lớn nhất trên biển Bột Hải
Ngày 8/6, Công ty trách nhiệm hữu hạn Kỹ thuật Dầu khí Ngoài khơi có trụ sở tại Thiên Tân, Trung Quốc, thông báo, giàn xử lý trung tâm cho giai đoạn I của mỏ dầu Kenli 10-2 đã hoàn tất lắp đặt nổi thành công, phá kỷ lục về cả kích thước và trọng lượng lắp đặt giàn khoan dầu khí ngoài khơi ở khu vực biển Bột Hải.
Israel phá hủy nhiều nhà cửa của người Palestine ở Bờ Tây
Trong ngày 8/6, quân đội Israel vẫn duy trì tác chiến cường độ cao tại dải Gaza, quân đội Israel liên tục đẩy mạnh hoạt động trấn áp người Palestine ở khu Bờ Tây, bao gồm phá hủy nhà cửa và các công trình dân sự.
Afghanistan: Kabul có nguy cơ trở thành thành phố đầu tiên cạn kiệt nước
Ngày 8/6, theo báo cáo của tổ chức phi chính phủ Mercy Corps, các chuyên gia vừa đưa ra cảnh báo, Thủ đô Kabul của Afghanistan có thể trở thành thành phố đầu tiên hoàn toàn cạn kiệt nước trong thời kỳ hiện đại.
Mỹ triển khai 2.000 vệ binh quốc gia ứng phó với làn sóng biểu tình ở Los Angeles
Nhằm đối phó với các cuộc biểu tình phản đối truy quét người nhập cư của chính phủ bùng phát tại Los Angeles, Tổng thống Trump quyết định triển khai 2.000 binh sĩ vệ binh quốc gia tới khu vực này.

Bình luận
Thông báo
Bạn đã gửi thành công.